立即注册找回密码

QQ登录

只需一步,快速开始

微信登录

微信扫一扫,快速登录

搜索
小桔灯网 门户 资讯中心 医学关注 查看内容

综述:宏基因组测序检测病原微生物工作流

2022-8-16 14:30| 编辑: 沙糖桔| 查看: 8817| 评论: 0|来源: 红皇后学术

摘要: 本篇综述关注感染性疾病临床诊断中非靶向的宏基因组测序技术的应用


文章来源:红皇后学术

论文题目:Clinical metagenomic next-generation sequencing for pathogen detection

期刊:Annual Review of Pathology - Mechanisms of Disease

IF:26.853

发表时间:2019

综述内容

几乎所有的疾病感染源都包含DNA或RNA基因组,这是的测序成为了病原微生物检测的有效手段,随着2004年的技术革新,高通量测序技术的成本已经大幅度下降,使得该技术成为了检测临床病人样本中的微生物并对其进行分类学注释的有效技术平台。
本篇综述关注感染性疾病临床诊断中非靶向的宏基因组测序技术的应用,特别是那些传统诊断方法使用非常有限的领域。
本篇综述包含一下几个方面:
  1. 高通量测序技术和常见平台;
  2. 临床微生物实验室中的高通量测序检测流程;
  3. 宏基因组数据的生物信息学分析;
  4. 宏基因组诊断感染性疾病的验证和应用;
  5. 本领域内具有重要意义的研究成果。

高通量测序技术

Illumina公司的测序平台是目前最为常见的高通量测序平台,其使用桥式扩增方法,进行“边合成变测序”,Illumina平台具有目前最高的测序通量,但是由于其barcode接头的方式来区分来自不同样本的序列,可能会产生一定比例的分配错误,并且这一问题在最新的高通量测序平台,例如NovaSeq上还有所加重,这会导至病原微生物检测中产生一定比例的假阳性
Thermo Fisher公司的Ion Torrent平台也可进行高通量的病原微生物检测,但是目前应用已经较少了。
华大的BGISEQ平台也已经有报道在临床疾病检测中应用,但是华大的平台在美国没有上市,本文的作者应该并不了解,文中也很少提及。
Nanopore公司的的三代测序平台在临床疾病诊断中具有其它平台无法比拟的产出结果速度优势,但是该平台错误较多、通量底并且价格贵,限制了其最终的应用。

宏基因组技术的限制和解决方案

本文的内容关注宏基因组测序技术的应用,而不涉及PCR等靶向富集方法。
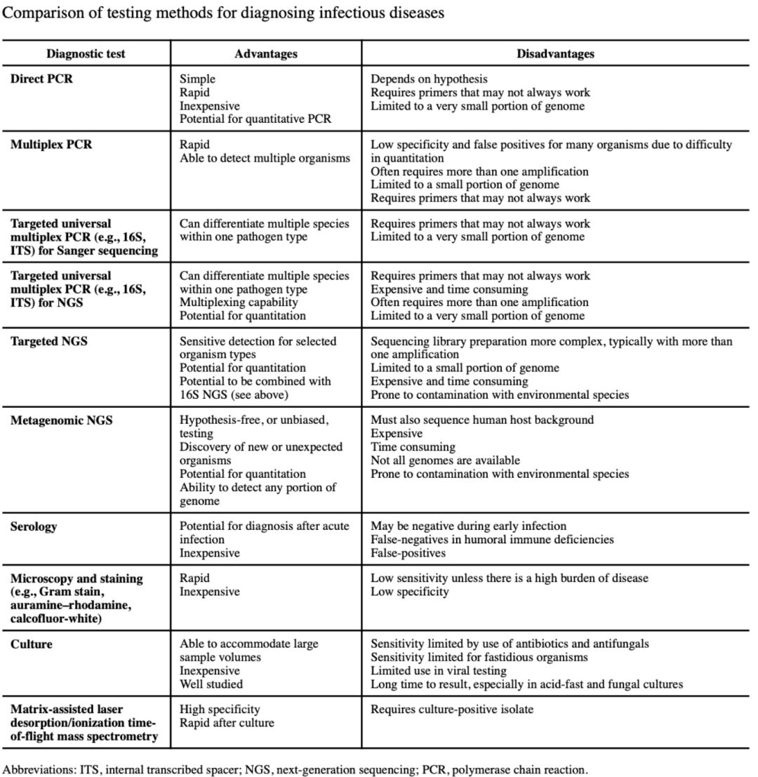
目前临床上所使用的疾病诊断方法的优缺点如下表所示:

传统纯培养的方法和靶向的分子方法主要受到检测范围的限制,因为只能检测特定物种,因此需要有预先的疾病假设,同时很多时候这些方法的检测敏感性也不尽人意,会产生一定程度的错误结果。
宏基因组技术的主要优势是无需预设的疾病假设并且理论上可以检测所有可能的物种,但其主要缺点是检测需要时间过长并且价格昂贵。
宏基因组技术的一个主要问题是临床病人样本通常包含大量的人类宿主干扰,这会导至宏基因组测序得到的数据绝大多数都是人类宿主的,因而降低了病原微生物的检测敏感性。
目前的解决办法有以下几种:
  1. 在进行宏基因组测序的同时配合靶向高通量测序,例如16S rRNA基因扩增子测序;
  2. 对于RNA样本,可以通过特定技术去除其中包含的大量人类宿主rRNA;
  3. 对于DNA样本,可以使用特定的试剂只裂解人类细胞,之后使用DNase去除游离的人类DNA,或者使用梯度离心的方法去除大分子量的遗传单元(大部分为人类细胞)。
宏基因组技术另一个缺陷是有可能检测到样本、实验试剂和实验室环境中的污染微生物。对于这一问题,一方面要严格控制样本采集活成,同时要严格管理微生物实验室,尽量避免人为污染,另一方面在测试的时候可以同时测试各种阴性对照样品,并且实验室的工作人员对于不同类型微生物样本的处理要非常熟悉。

宏基因组测序检测病原微生物工作流

样本的稳定是最为重要的问题,为了防止核酸降解,在样本手机的同时就要使用化学的DNA或RNA稳定试剂对样本进行固定。
目前已经有从宏基因组数据中识别病原菌的生物信息学工具,例如SURPI、Kraken、Taxonomer等,这些工具基本上都是4个分析过程:
  1. 去除测序街头和低质量序列;
  2. 去除人类基因组序列;
  3. 剩余的序列与建立的病原微生物数据库比对,对测序数据进行分类学注释;
  4. 整理结果,并进行统计学分析和可视化。
目前对于宏基因组检测病原菌的结果,还没有针对其解释和报告的标准要求,因此,需要有一个统一的标准来辅助该技术的应用。

质量控制

对于宏基因组测序检测病原微生物,想要取得理想结果,需要做到以下几点:
  1. 在测序的同时,向每个样品中加入确定的内标,有助于原始样本的定量和评估完整测序过程的质量;
  2. 在测序的同时要设置阳性对照和阴性对照;
  3. 严格执行实验标准,避免任何人为污染;
  4. 虽然目前的数据库里已经有了非常常见的病原微生物,但是对于一些稀有病原微生物,基因组信息还是非常匮乏的,因此定期的对参考数据库进行升级是非常有必要的。

新技术流程开发

因为没有标准的技术流程,对于新开发的技术流程,需要提供以下信息:
  1. 湿实验部分的准确性:
    使用一个可以代表每一类感染源的物种集合进行测试;
  2. 干实验部分的准确性:
    使用一个标准化有代表性的数据集进行测试;
  3. 精确性和可重复性:
    多次重复测序结果的一致性以及与其它分析方法结果的比较;
  4. 可检测的范围:
    给出确定的可检测物种的范围以及背景污染物种和临床无意义物种的列表;
  5. 参考范围:
    检出物种用于疾病诊断的丰富范围;
  6. 检出限:
    物种的最小检出限;
  7. 干扰物质的范围;
  8. 阳性对照和阴性对照的结果;
    稳定性:不同的样本保存和转运条件对结果的影响。

声明:
1、凡本网注明“来源:小桔灯网”的所有作品,均为本网合法拥有版权或有权使用的作品,转载需联系授权。
2、凡本网注明“来源:XXX(非小桔灯网)”的作品,均转载自其它媒体,转载目的在于传递更多信息,并不代表本网赞同其观点和对其真实性负责。其版权归原作者所有,如有侵权请联系删除。
3、所有再转载者需自行获得原作者授权并注明来源。

最新评论

关闭

官方推荐 上一条 /3 下一条

客服中心 搜索 洽谈合作
返回顶部